Foto: Mate Karaula

Foto: Mate Karaula

NEIZVJESNA SUDBINA

Netko ranio kujicu tijekom šetnje s vlasnicima u Prekopakri: "U strahu smo, ljuti i ogorčeni"

"Lena je kao član obitelji. Iako se sada čini dobro, zbog metka koji nije izvađen veterinar nam ne može garantirati da neće imati posljedica", priča nam vlasnica psa koja će slučaj vjerojatno prijaviti policiji

DARUVAR/PAKRAC – Prije dva dana, 22. listopada večernja šetnja za mladu kujicu iz Prekopakra zamalo je bila kobna. Njezini vlasnici ni u snu nisu pomislili da bi netko njegovu mješanku tijekom uobičajene večernje šetnje mogao upucati zračnom puškom, no upravo se to dogodilo.

Vlasnici su tek po povratku kući primijetili krv koja je Leni tekla iz područja vrata. Odmah su potražili pomoć u veterinarskoj stanici u Pakracu, gdje je rana očišćena i pas je dobio antibiotik te analgetik. Sljedećeg jutra obavljen je detaljan RTG pregled u Daruvaru.

Foto: Mate Karaula

Foto: Mate Karaula

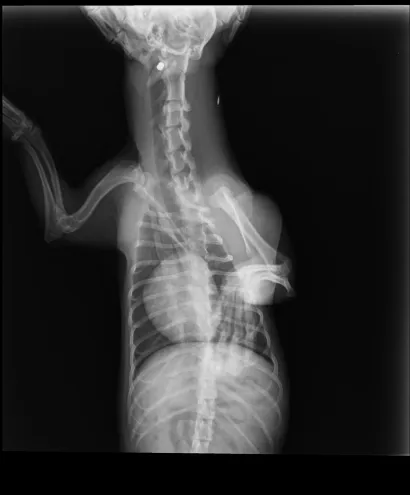
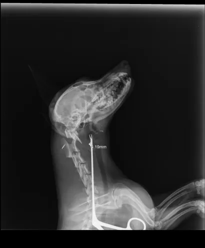
Maleni pas mješanac pogođen je dijabolom u vrat, a budući da je metak ostao smješten na nezgodnom mjestu blizu kralježnice, veterinar Mate Karaula iz Daruvara koji liječi Lenu, odustao je od vađenja metka zbog daljnjeg rizika po kujicu.

Moguće komplikacije

Prema nalazu veterinara dr. Mate Karaule, rendgenska snimka pokazala je da se metak, točnije dijabola, nalazi u području između atlasa i aksisa – dijela vratne kralježnice.

- Veličina projektila procijenjena je na 6,10 do 5,16 milimetara, a zbog dubine položaja i blizine kralježnice procijenjeno je da bi pokušaj vađenja mogao izazvati ozbiljne komplikacije. Zbog toga se odustalo od kirurškog vađenja metka.

Pas je primio injekcijsku sedaciju, obavljene su dvije rendgenske snimke i kirurška obrada rane, kazao nam je dr. Karaula.

Bračni par iz Prekopakre slučaj razmišlja prijaviti policiji jer su, kako kažu, u strahu, ali i ljuti i ogorčeni.

Foto: Mate Karaula

Foto: Mate Karaula

Foto: Mate Karaula

Foto: Mate Karaula

Foto: Mate Karaula

Foto: Mate Karaula

- Lena je kao član obitelji. Iako se sada čini dobro, zbog metka koji nije izvađen, veterinar nam ne može garantirati da neće imati posljedica, priča nam vlasnica psa i otkriva detalje kobne šetnje prije dva dana.

Policija

- Krenuli smo u šetnju sasvim drugom rutom od uobičajene. Nije puno dalje, ali je na drugu stranu. Šetali smo livadom i nogostupom, a u jednom trenutku Lena se nakratko udaljila od nas. Vjerojatno je vidjela mačku. Dozivali smo ju i brzo se vratila, prisjeća se naša sugovornica i dodaje kako su krv primijetili tek nakon povratka kući.

Odmah su odjurili s njom u pakračku veterinarsku stanicu, a drugog dana i u Daruvar na RTG snimanje…

- Lena je kao dijete u obitelji. Stara je malo više od godinu dana. U strahu smo jer ne znamo kako će se situacija dalje odvijati s dijabolom pored kralježnice. Rekao nam je veterinar ako se počne imalo drugačije ponašati, da se odmah javimo, ističe naša sugovornica.

Foto: Mate Karaula

Foto: Mate Karaula

Foto: Mate Karaula

Foto: Mate Karaula

Foto: Mate Karaula

Foto: Mate Karaula

Foto: Mate Karaula

Foto: Mate Karaula

Zajedno sa suprugom razmišlja cijeli slučaj prijaviti policiji jer je svjesna da je ovo što su doživjeli kazneno djelo. Osim što je kujica stradala, pucano je i u njihovoj blizini.

- Ovakvo nešto ne bi se smjelo događati. Ponavljam, ljuti smo, ogorčeni, žao nam je…, zaključuje Lenina vlasnica.

Dobijte informaciju odmah, zapratite nas na Facebooku i TikToku!